조황관리HOME / 조황관리 / 상세정보

제목 : 제주 제우스 피싱 13일 갑오징어 조황
등록일 : 2026-03-14
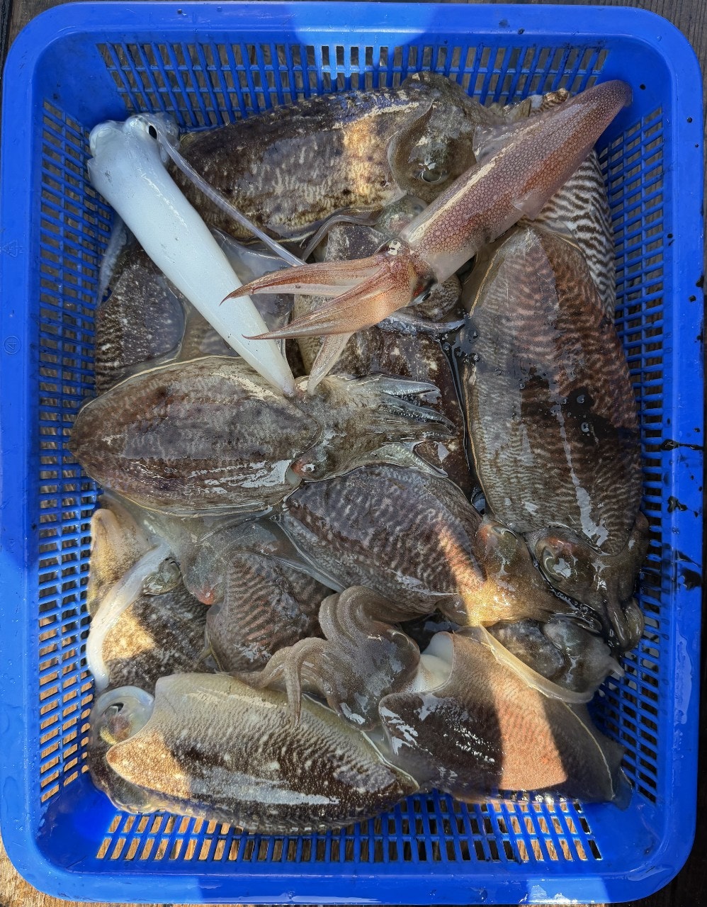
제우스 피싱 13일 갑 조황입니다~

오늘은 처음부터 너울과 싸움이였는데
그래도 잡으신 분은 30갑 넘게 잡으시고 못잡은 분은 못잡으셨네요~

조류가 흐름이 전혀 없는거에 비해 괜찮은 조황인거 같습니다

자리 편차 심했고 너울이 심해서 입질 파악도 어려운 가운데
그나마 선방한거 같네요~

내일도 저희는 서귀포항 출항입니다~

숙소 예약시 반드시 선사 통화 후 예약하시기 바랍니다~

안좋은 기상인데도 열낚하시느라고 고생들 많으셨고
내일도 부지런히 움직여 보겠습니다~

감사합니다

  • 사용자가 올린 이미지
  • 사용자가 올린 이미지
  • 사용자가 올린 이미지
  • 사용자가 올린 이미지
  • 사용자가 올린 이미지
  • 사용자가 올린 이미지
  • 사용자가 올린 이미지
  • 사용자가 올린 이미지
  • 사용자가 올린 이미지
  • 사용자가 올린 이미지
  • 사용자가 올린 이미지
  • 사용자가 올린 이미지
  • 사용자가 올린 이미지
  • 사용자가 올린 이미지
  • 사용자가 올린 이미지



*** 제주 제우스피싱 예약 안내 ***


예약문의 : 010-2011-4300

부재시 : 010-9190-3085
오시는길 : 제주도 제주시 임항로 97 제주항 제2부두 (시즌별 출항지 확인 필수)

모바일.gif 

Top